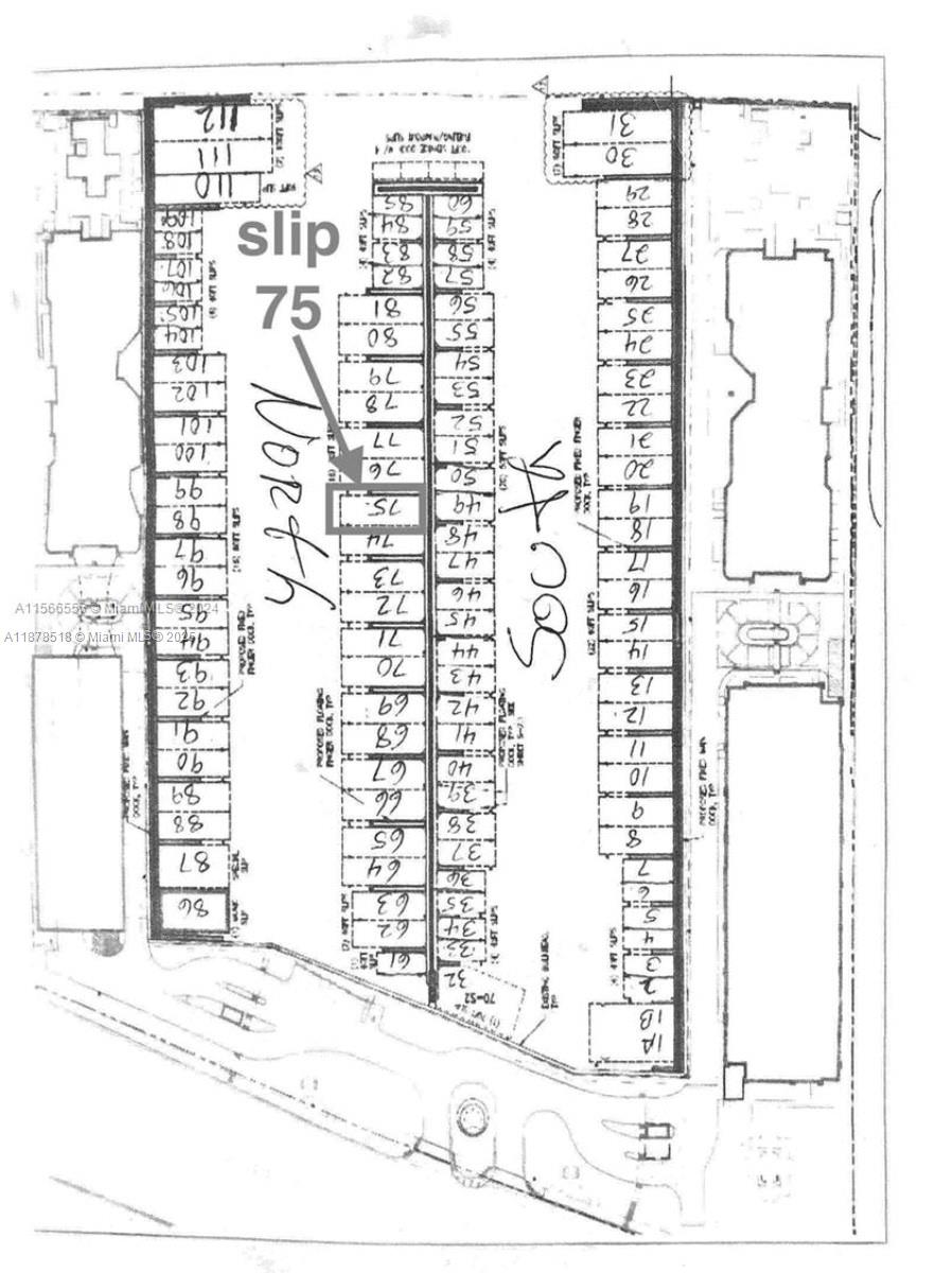
17211 Biscayne Blvd Slip 75North Miami Beach, FL 33160

Slip in Marina Palms Marina. Slip #75 is a 70ft slip which fits up to a 80ft boat. Premier marina with floating dock offering state of the art facilities including marina staff and dockmaster, dockside high speed internet, fueling services, market and more. Just a few minutes to Haulover inlet and ocean. This slip is restricted and can sell only to marina palms owners. Highly qualified bi-lingual marina staff Full-service Concierge Limited transient dockage Easy access fueling services—gas and diesel Dockside high-speed Internet Picturesque marina promenade Marina Mart convenience store open 8 am to 5 pm, 7 days a week offering boating apparel, food and snacks, beer and wine, cleaning and boating supplies.
| a month ago | Price changed to $399,000 | |
| a month ago | Listing updated with changes from the MLS® | |
| 4 months ago | Listing first seen on site |
The data relating to real estate for sale on this web site comes in part from the Miami Association of Realtors, Realtor Association of Greater Ft. Lauderdale, and the South Broward Board of Realtors. Information is deemed reliable but not guaranteed. Copyright © 2026, Miami Association of Realtors, Realtor Association of Greater Ft. Lauderdale, and the South Broward Board of Realtors. All rights reserved. The information being provided is for consumers' personal, non-commercial use and may not be used for any purpose other than to identify prospective properties consumers may be interested in purchasing. The use of search facilities of data on the site, other than a consumer looking to purchase real estate, is prohibited.
Did you know? You can invite friends and family to your search. They can join your search, rate and discuss listings with you.